Siêu bão Sinlaku tiếp tục tăng cấp
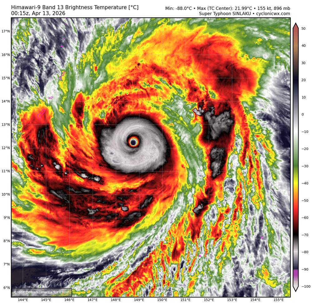
VHO - Sinlaku - cơn bão mạnh nhất thế giới từ đầu năm đến nay, đang tiếp tục tăng cường độ và duy trì sức tàn phá khủng khiếp trên vùng biển Tây Bắc Thái Bình Dương. Với sức gió vùng gần tâm bão đạt cấp 17, giật trên cấp 17, siêu bão này đang hướng thẳng về quần đảo Bắc Mariana.
Bão Sinlaku đã chính thức trở thành cơn bão mạnh nhất thế giới trong năm 2026. Đáng chú ý, đây là lần thứ ba kể từ năm 1977 xuất hiện một siêu bão vào tháng 4, sau trường hợp của siêu bão Surigae năm 2021.
Sự xuất hiện của Sinlaku được đánh giá là một hình thái thời tiết dị thường và có sức tàn phá rất lớn, đe dọa trực tiếp đến an toàn của các tàu thuyền trọng tải lớn trên biển.

Theo thông tin từ Cơ quan Khí tượng Nhật Bản (JMA), tính đến 9h sáng 13.4, tâm siêu bão đang cách quần đảo Bắc Mariana khoảng 500km về phía Đông Nam và cách Biển Đông trên 3.000km về phía Đông. Sức gió mạnh nhất vùng gần tâm bão đạt cấp 17 (khoảng 212km/h), giật trên cấp 17.
Trong 24h tới, siêu bão di chuyển theo hướng tây bắc với tốc độ khoảng 15km/h, cường độ duy trì cấp 17.
Từ 24 đến 48h tiếp theo, bão tiếp tục đi theo hướng này nhưng chậm lại, khoảng 10km/h và có xu hướng suy yếu dần.
Dự báo đến 9h ngày 15.4, tâm bão ở cách quần đảo Bắc Mariana khoảng 100km về phía Đông Bắc, sau đó đổi hướng lên phía bắc và tiếp tục suy yếu. Vùng ảnh hưởng của bão rất rộng, gió mạnh từ cấp 7 trở lên trải dài trong bán kính 500 - 600km tính từ tâm bão, vùng gió mạnh từ cấp 10 trở lên khoảng 165km.
Do ảnh hưởng của siêu bão Sinlaku, hoạt động hàng không đã bị ảnh hưởng với loạt chuyến bay có khả năng bị hủy đến giữa tuần. United Airlines, Philippine Airlines, Hong Kong Airlines và T'Way Air thông báo hủy toàn bộ chuyến bay đến đảo Saipan trong thời gian bão còn hoạt động mạnh.
Trong bối cảnh diễn biến bão còn phức tạp, du khách có kế hoạch đến Guam, quần đảo Bắc Mariana Philippines hoặc các hòn đảo ở khu vực Tây Bắc Thái Bình Dương cần thường xuyên cập nhật dự báo và chủ động điều chỉnh lịch trình để đảm bảo an toàn.

RSS